x

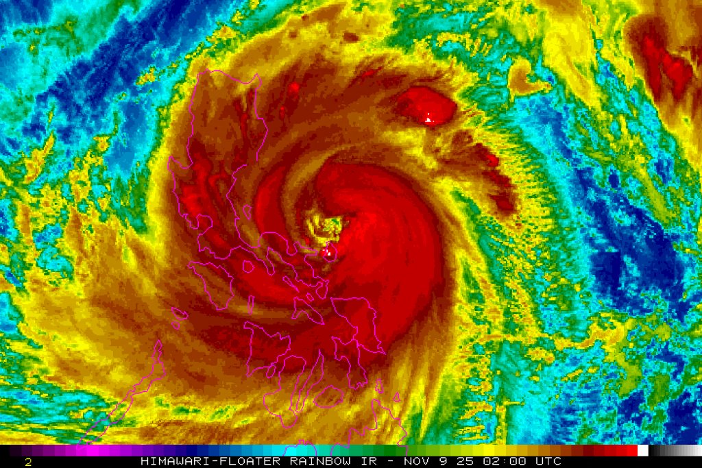
HITNO EVAKUISANO SKORO MILION LjUDI, UVEDENO VANREDNO STANjE: Filipini na udaru snažne oluje kakva dugo nije viđena (FOTO/VIDEO)

Foto: Foto: Profimedia